$34,900
 
 
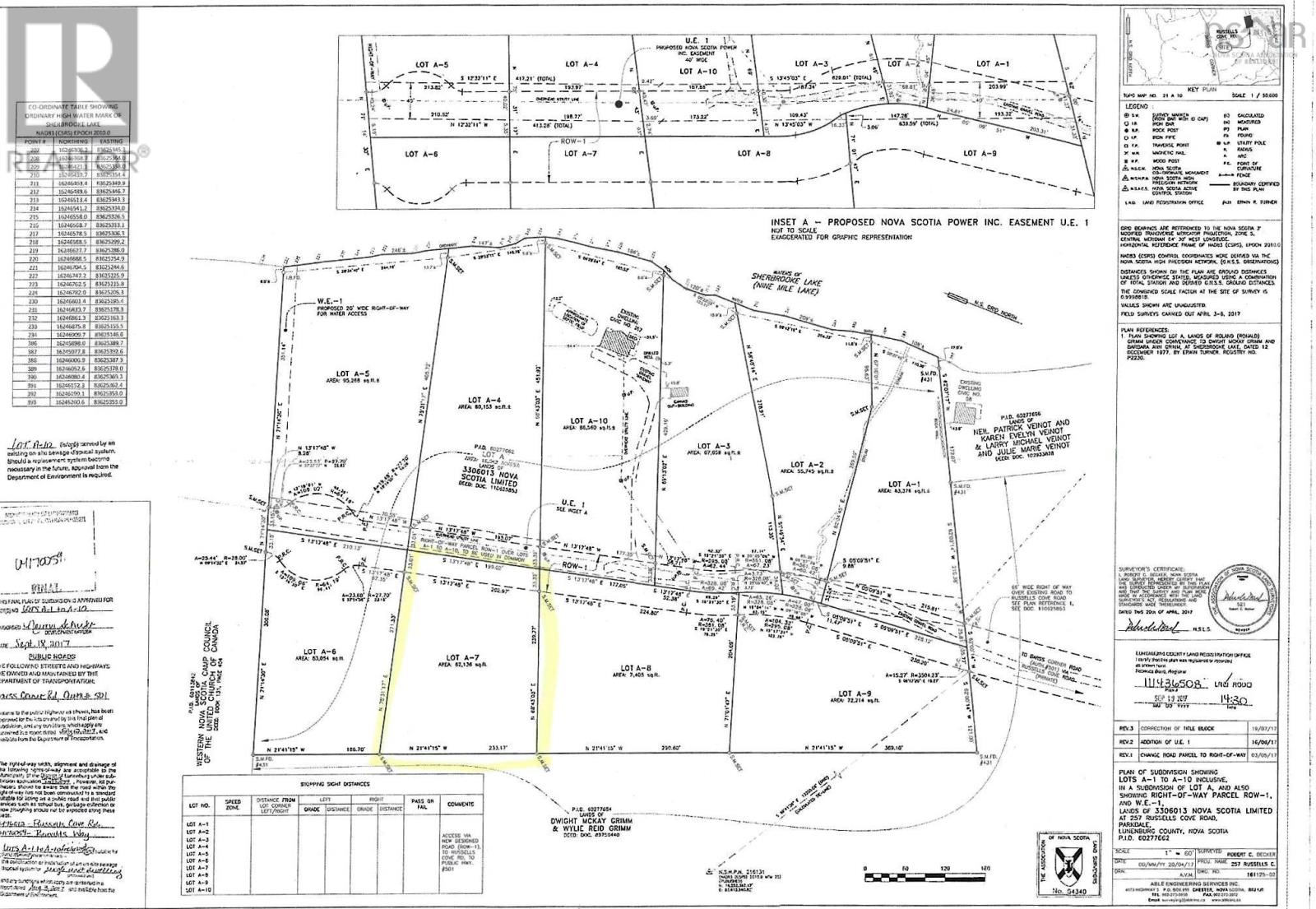
Lot A-7 Russells Cove Road, Parkdale, Nova Scotia, B0R1A0
MLS® Number: 202524011

Vacant Land for Sale in Lot A Russells Cove Road Parkdale

Property Information

Deeded Access to Sherbrooke Lake - Your Dream Lakeside Getaway Awaits. Discover the beauty and tranquility of Sherbrooke Lake with this exceptional property offering deeded access to a pristine sandy beach and a nearby boat launch. Whether you're dreaming of building a seasonal cottage or a year-round home, this is your chance to enjoy one of Nova Scotia's most desirable recreational lakes. Nestled among natural woodland, the setting provides peaceful privacy while still being close to everything you need. Enjoy boating, swimming, fishing, or simply relaxing by the water in a serene, natural environment. Sherbrooke Lake is renowned for its clean, clear waters and is a haven for nature lovers and outdoor enthusiasts. With nearby communities like Lunenburg, Mahone Bay, and Bridgewater, plus Kentville is just 45 minutes away, you'll have the perfect balance of secluded lakeside living and convenient access to shopping, dining and essential services. Whether you're planning a relaxing weekend retreat or building your forever home, this property offers the perfect escape to lakeside living. (id:50315)

Property Summary
Property Type

Vacant Land

Building Type

Storey

Community Name

Subdivision Name

Title

 

Land Size
 
Built in
Annual Property Taxes
$
Parking Type
None
Published
185 days
Building
Bedrooms
Total
Below Grade
 
Bathrooms
Total
Partial
Interior Features
Appliances Included

Flooring

Basement Features

Basement Type

Building Features
Features

Treed

Foundation Type

Architectural Style

Construction Material

Floor Space
.00
Total Finished Area
.00
Structures
Heating & Cooling
Cooling
Fireplace
Heating Type
Exterior Features
Exterior Finish
Neighbourhood Features
Amenities Nearby
 
 
Parking Type
None
Total Parking Spaces
Interested in this property?
Kuldip Singh Parmar
Kuldip Singh Parmar
Associate
Balpreet Tehri
Balpreet Tehri
Associate
Have a question or just want to learn a bit more about the property? That's what I'm here for! Would you like me to send you more information.
By using our site, you agree to our Terms of use and Privacy Policy     Dismiss