$449,900
 
 
2310 17 Street SW, Bankview, Calgary, Alberta, T2T4M6
MLS® Number: A2294269

Vacant Land for Sale in Street SW Bankview Calgary

Property Information

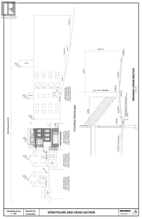
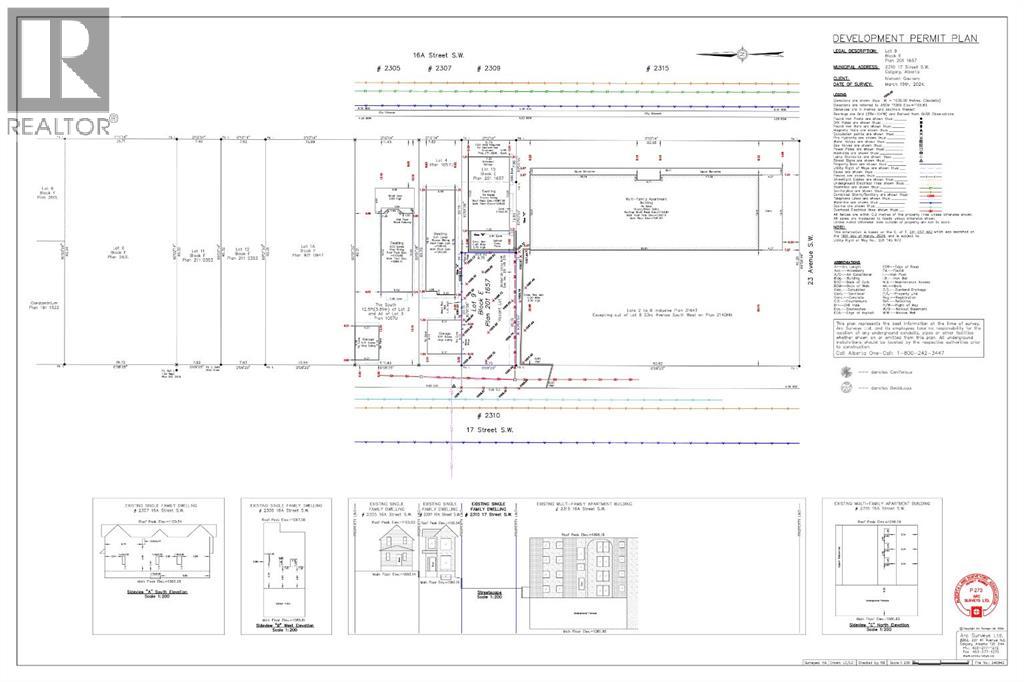
BARE LOT - BUILDERS & BUYERS - Nestled in a Bankview sweet-spot, Rare find opportunity to build your Dream home in Bankview, this lot offers several big advantages. The M-CG d72 land use designation opens the door to a larger build than everyday R-C2. Having 32' lot width, 'steps outside the box', an escape from narrow 25' RC-2 lots. And having no alley invites the rarity of an attached front drive garage. Convenient lock and leave style of lot. With the lot being cleared, there's significant demolition cost savings. Abundant inner city atmosphere, picturesque streetscape....the heritage feel blended with upscale development. Steps to fabulous Buckmaster Park and tennis.. Stroll to the bistro/boutique/services scene in Marda Loop or 17th Ave District.. One may wish to take advantage of the conditionally approved development permit Or use this as perspective for your own creation or simply step out on your own. Check it out - a delightful opportunity! (id:50315)

Property Summary
Property Type

Vacant Land

Building Type

Storey

Community Name

Subdivision Name

Bankview

Title

 

Land Size
 
Built in
Annual Property Taxes
$1872
Parking Type
Published
15 days
Building
Bedrooms
Total
Below Grade
 
Bathrooms
Total
Partial
Interior Features
Appliances Included

Flooring

Basement Features

Basement Type

Building Features
Features

Foundation Type

Architectural Style

Construction Material

Floor Space
.00
Total Finished Area
.00
Structures
Heating & Cooling
Cooling
Fireplace
Heating Type
Exterior Features
Exterior Finish
Neighbourhood Features
Amenities Nearby
 
 
Parking Type
Total Parking Spaces
Interested in this property?
Kuldip Singh Parmar
Kuldip Singh Parmar
Associate
Balpreet Tehri
Balpreet Tehri
Associate
Have a question or just want to learn a bit more about the property? That's what I'm here for! Would you like me to send you more information.
By using our site, you agree to our Terms of use and Privacy Policy     Dismiss